МБДОУ «Детский сад общеразвивающего вида №2 «Батыр» Бугульминского муниципального района РТ»
Визитная карточка
| Адрес: | 423230, Республика Татарстан, Бугульмнский район, г. Бугульма, ул. Калинина, д. 30А |
| Телефон: | +7(855)-944-06-78 |
| E-Mail: | Dsad.Bug2@tatar.ru; 13112000003@edu.tatar.ru |
| Министерство: | Министерство образования и науки Республики Татарстан |
| Короткое название: | Детский сад № 2 |
| Руководитель: | Галяутдинова Альфира Асхатовна |
| Год основания учреждения: | 1976 |
| У нас учатся: | 110 воспитанников |
| У нас учат: | 14 педагогов |
Безопасность Дорожного Движения/Юл хәрәкәте иминлеге
Месячник безопасности 2022-2023 уч_год (1).pdf
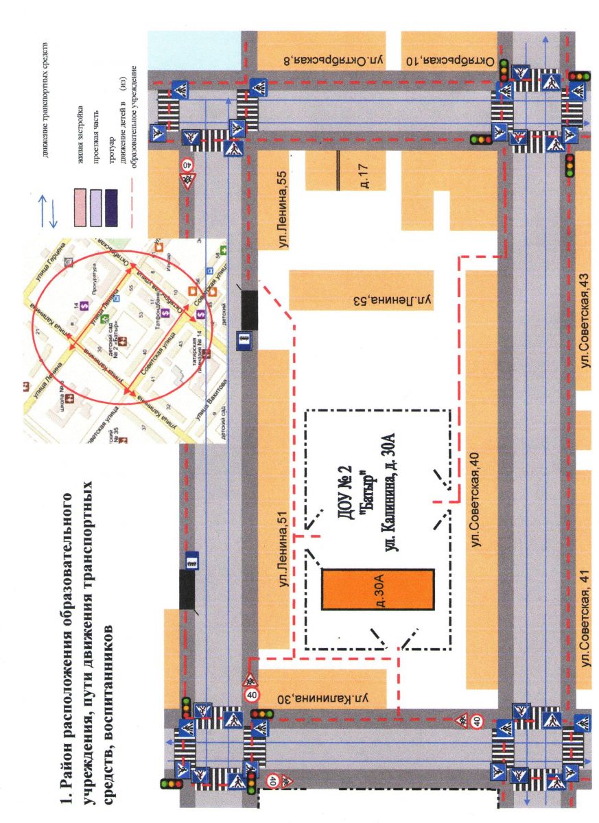
План схема ДОУ № 2 .jpg
Анализ аварийности за 7 мес 2022 года
Инфографика https://cloud.mail.ru/public/CCsy/7MzvZzs13
Паспорт дорожной безопасности ДОУ № 2 от 17.08.2018г.
Распорядительные документы:
Статистика
-
О состоянии детского дорожно-транспортного травматизма по итогам 12 месяцев 2017 года на территории Бугульминского муниципального района
-
О случаях травмирования детей и подростков на объектах инфраструктуры РЖД (от 25.04.2017г.)
-
Состояние детского дорожно-транспортного травматизма за 9 месяцев 2016 года по Бугульминскому муниципальному району
Информационные интернет-ресурсы по БДД:
-
Сайт www.gibdd.ru – детская безопасность
-
Сайт www.sakla.ru(сакла) - (портал безопасности дорожного движения)
-
Сайт газеты «Добрая дорога детства» - www.dddgazeta.ru
-
Сайт www.bezdtp.ru (бездтп.ру) - «За безопасность на дорогах России» - информационные материалы, видеоролики, проекты, инфографика
-
Сайт www.yuid.ru(юид.ру) – Юные инспекторы движения России – материалы по движению ЮИД, конкурсы.
-
Сайт www.detibdd.ru – федеральный общественный проект «Школа юного пешехода».
-
Сайт www.passportbdd.ru– Генератор паспорта дорожной безопасности- удобный инструмент для сотрудников образовательных учреждений. (Паспорт. Документы. Конструктор маршрутов)















